GEROUVILLE : grand terrain à bâtir idéalement situé.
Rue de Meix à 6769 GérouvilleInformations de base | Basisinformatie
- Catégorie: A vendre
- Type de propriété: Terrain à bâtir
- Surface du terrain: 1834 m²
Description | Beschrijving
-
Description:
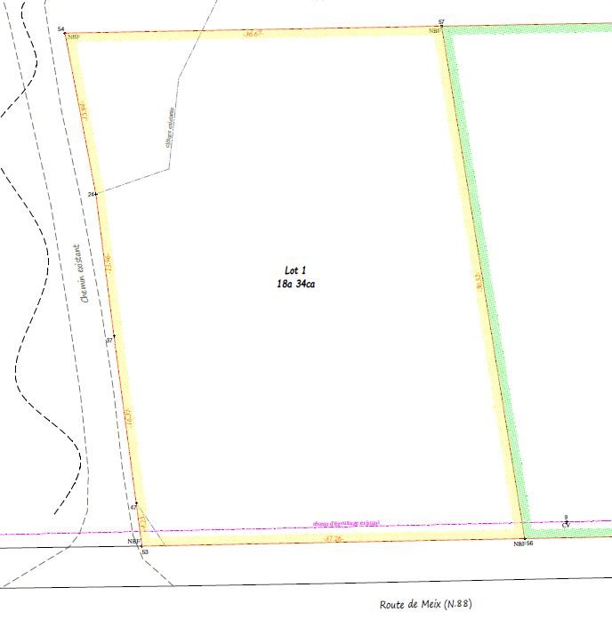
Terrain à bâtir d’une superficie de 18 ares et 34 centiares, idéalement situé entre Florenville et Virton.
LOT 1 : 18a 34ca
Largeur à rue : +- 37 mètres
Profondeur : +- 50 mètres
Eau, électricité et égouts présents dans la rue.
Terrain situé hors lotissement. Pas d’obligation de construction.
Orientation arrière : NordTrès bonne situation entre Florenville et Virton, à 15km des commerces, écoles, supermarchés, transports en commun … et à proximité de l’Abbaye d’Orval et divers lieux touristiques ainsi que la frontière française.
Prix : 135.000 €
Les informations et superficies ci-dessus sont données à titre indicatif et sont non contractuelles.
N'hésitez pas à nous contacter pour plus d'informations.
Show all description
Emplacement | Ligging
- Quartier: Campagne
Commodités et Caractéristiques | Voorzieningen en kenmerken
- Commodités:
